







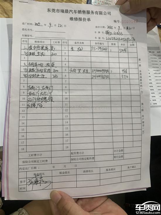
开始本着对奇瑞的信赖购买了此台18款瑞虎7,平时开的不多比较爱护,开了六年就出现车窗升降器坏掉电瓶坏(自己去途虎维修更换好了)。从购买第四年开始方向盘里面有弹簧的异响(刚刚100码的时候)到现在,最近更加严重方向盘转方向会咯吱咯吱响。更可气的是前天早上去开车中控仪表台无响应了,反复试了很多次都是这样已经坏掉了。车门尾门生锈严重,特别是门板下面胶条固定孔锈烂了已经不能固定胶条了。厂家联系去瑞城店,此店以超过三年及没有在4s店保养为由不免费解决问题,算出高额维修费用。希望厂家免费解决。
奇瑞汽车厂家回复:接到贵网反馈的客户信息后,我司非常重视:据我司东莞瑞晨4S店反馈,经仔细了解情况并核对客户车辆质保期,因客户未定时定期在奇瑞服务站做定期保养,且资料提供不全无法保修;故无法继续享受公司的保修政策,已和客户做了详细解释和耐心沟通。我司会继续做好对该车的跟踪服务,为客户提供周到的售后服务和保障。同时也非常感谢客户对奇瑞汽车的关注和支持,衷心祝您生活愉快,工作顺利!
