投诉编号:【557148】 投诉时间:2020-12-25 16:31 投诉品牌:东风日产 投诉车系:逍客 投诉车型:2016款 2.0L CVT 豪华版


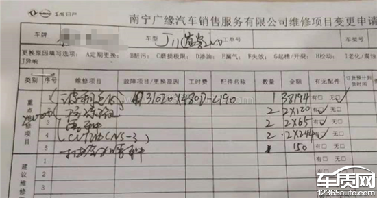
车辆踩油门时转速表异常升高,但是车速上不去,时速50左右匀速行驶时经常顿挫,到最后车辆仪表盘故障报警。然后拖车到4S店检查,说是变速箱有问题,变速箱只换不修。由于16年买的车过了3年质保期,全部的跟换费用(大约4万多)要自己出。由于2019年至2020年自己很少用车一周才用1、2次左右(现在总里程是49400公里),今年11月份天冷才开始频繁用车,12月份就出现变速箱问题。想到在18年时有一次在摸变速器的PRND挡面是很烫的,当时只以为夏天开了1小时的车,变热正常就没注意。现在想想觉得车子的变速箱绝对是有问题的。
东风日产厂家回复:客户反馈的问题厂家已知晓并高度重视,已安排相关4S店和客户进行对接,正在积极的沟通处理中,厂家也将持续关注后续处理结果。感谢客户的支持与谅解,如有疑问请主动致电东风日产热线电话95027。