投诉编号:【722810】 投诉时间:2022-03-28 15:43 投诉品牌:长安汽车 投诉车系:锐程CC 投诉车型:2021款 蓝鲸版 1.5T DCT 尊贵型




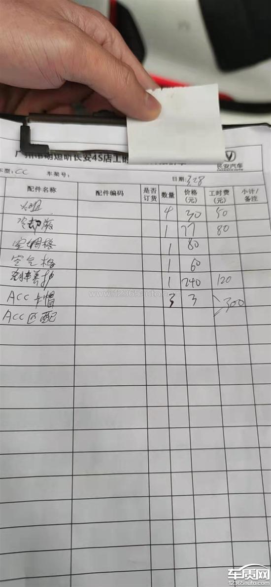
ACC报故障码,其实ACC完好无损,广州市明烜昕商贸有限公司前后去了4次,修了3次,前两次修改都是隔日就出现同样的问题,第三次修完后用了一个星期左右,又出现同样的问题。在维修完第三次,明烜4S店就口头承诺,若再出现同样的问题会找厂家来解决这个问题。前3次维修走的都是质保,因为ACC是完好无损的。4S店描述的故障原因是因为ACC位置有偏差,导致的报故障码,而ACC是能正常工作的。借着车要保养的机会顺带维修ACC,但第4次维修要换3个ACC卡帽,工时300。而ACC卡帽在第一次维修的时候就已经换过。感觉一直在做着毫无用处的维修。希望厂家和4S店能认真解决这个问题。
长安汽车厂家回复:客户反映的问题,公司高度重视,已安排工作人员联系处理,如需帮助,欢迎您拨打24小时服务热线:951999。
长安锐程CC销售承诺推荐购车返现不兑现2022-03-25车型:2021款 蓝鲸版 1.5T DCT 精英型
长安锐程CC电瓶多次亏电无法启动2022-03-22车型:2021款 蓝鲸版 1.5T DCT 尊贵型
长安锐程CC车机卡顿要求升级处理2022-03-19车型:2021款 蓝鲸版 1.5T DCT 豪华型
长安锐程CC蓄电池频繁亏电影响用车2022-03-19车型:2021款 蓝鲸版 1.5T DCT 尊贵型
长安锐程CC车机卡顿 车机处理器非常老旧2022-03-17车型:2021款 蓝鲸版 1.5T DCT 旗舰型
长安锐程CC车机卡顿 变速箱顿挫2022-03-15车型:2021款 蓝鲸版 1.5T DCT 旗舰型