返回上一页 返回首页 搜索 更多选择

上汽大众凌渡仪表显示变速箱故障灯亮

投诉编号:【1553193】 投诉时间:2025-12-06 18:11 投诉品牌:上汽大众 投诉车系:凌渡 投诉车型:2022款 凌渡L 280TSI DSG 炫辣版

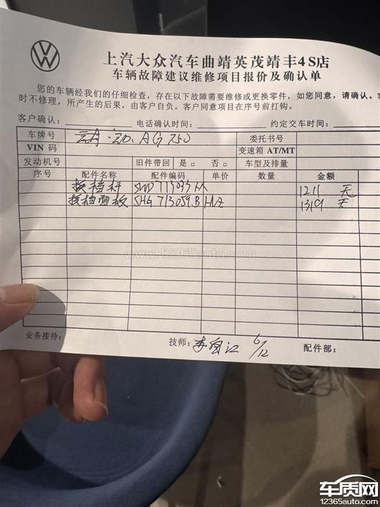
上汽大众凌渡仪表显示变速箱故障灯亮,凌渡L变速箱才过质保期,变速箱报故障了,我了解了是通病,真是垃圾车,再选车,一定不会选大众。

上汽大众厂家回复:关于客户的抱怨问题,我公司已安排对应经销商与客户进行沟通处理中,最终处理情况或处理结果将第一时间反馈贵网。

最新评论
违法和不良信息举报:
010-65993545-8019  jubao@12365auto.com
车质网版权所有 京ICP备15019238号